Fijnproevers gaan jullie mee op Enotrekking in Toscane?

Bij een populaire agriturismo
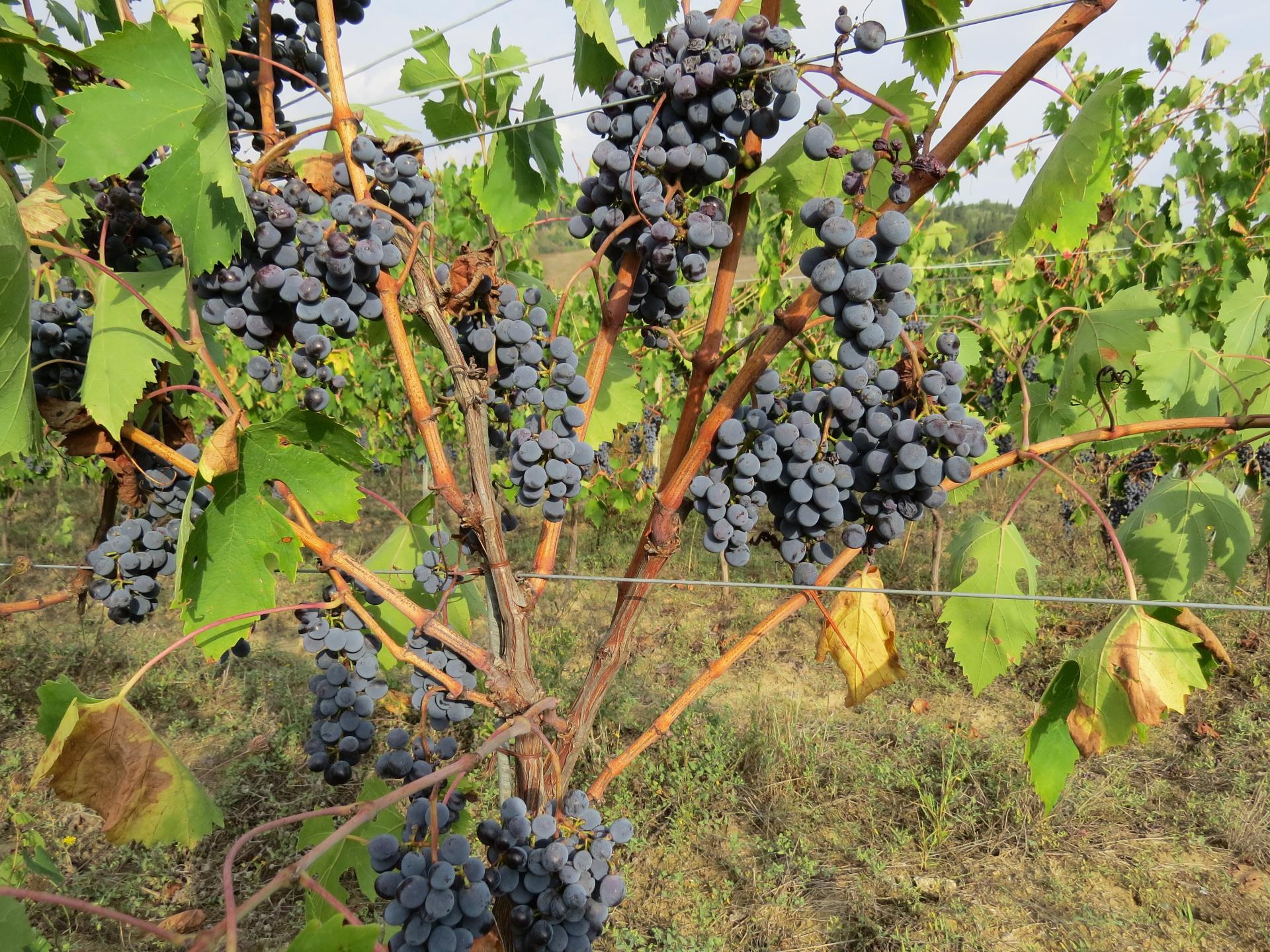
Borgo San Lorenzo ligt op een enorm groot landgoed vlakbij Montespertoli. Een groot gedeelte van het omringende land is gereserveerd voor wijngaarden waar D.O.C.G. wijnen en Chianti wijnen worden geproduceerd. Ook maakt men hier Grappa en de 3000 olijfbomen op het landgoed leveren een eersteklas olijfolie op.
Professionele begeleiding
Regelmatig wandelt de eigenaar (tevens sommelier) met een groepje gasten door de wijngaarden en geeft een gepassioneerde bedrijfspresentatie. Vol passie vertelt hij over het wijnproces en de cultuur van zijn wijnen. Zo vertelt hij onder andere over de hoge kwaliteit van de wijn. Dit heeft te maken met een hoop feiten, waarvan de 3 belangrijkste traditie, passie en een gunstige bodemstructuur (mineralen) zijn.

Wijn proeven....
Tijdens deze hike-excursie zijn er wellicht wat meer stops dan gebruikelijk. Dit komt doordat er wijn geproefd moet worden! Er worden 3 uiteenlopende wijnen geproefd: van een ‘eenvoudige Toscano’ wijn, een zachte wijn voor dagelijks gebruik, tot de ‘top wijn Tufesco’ voor bij belangrijke diners.
....... en een lekkere snack
Ter afsluiting is er een gezellig snackbuffet onder de Toscaanse sterrenhemel met proeverijen van lokale producten, eigen olijfolie en uiteraard de wijnen van de agriturismo!
Elke donderdag in juli en augustus, duur ca. 2,5 uur (nb. bij voldoende deelname, minimum deelname van 4 personen). Prijs € 19,00 (prijswijzigingen onder voorbehoud).


